Otis
¿Eventos inexplicables por el Huracán Otis?: Esto habría ocurrido, según sobrevivientes
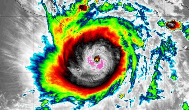
El 25 de octubre de 2023, el Huracán Otis azotó Acapulco con una fuerza que no se había visto en años. En su paso, el huracán dejó destrucción, temor, alrededor de 52 muertes, daños por más de16 mil millones de dólares y, lo que muchos afirman, una serie de eventos inexplicables que han dejado una huella indeleble en los habitantes de este puerto. Entre los testimonios recogidos, emerge una narrativa más allá de lo visible, una que conecta la furia de la naturaleza con lo espiritual y lo paranormal.
Organizarán partido de leyendas en favor de damnificados por Otis
Cuauhtémoc Blanco Bravo, gobernador del estado, informó que están afinando detalles para llevar a cabo un partido de futbol con leyendas de América y Chivas, el cual será a beneficio de los damnificados de Acapulco.
El Mandatario aseguró que recientemente se reunió con Emilio Azcarraga para proponerle la realización de un partido de futbol con el propósito de reunir fondos y que todo lo recaudado sea destinado a las familias afectadas tras el paso del huracán Otis, en Guerrero.
Envía Morelos primer cargamento de ayuda a damnificados por huracán Otis
El Gobierno del Estado, a través del Sistema Estatal DIF Morelos, realizó este martes 31 de octubre, el traslado del primer cargamento de víveres y artículos que fueron recaudados gracias al altruismo de ciudadanos, voluntarios, empresas socialmente responsables, servidores públicos y diversas dependencias gubernamentales.
En solidaridad con el estado de Guerrero, el gobernador Cuauhtémoc Blanco informó que salieron rumbo a la entidad vecina los primeros cuatro camiones, resguardados por la Guardia Nacional, con apoyos para las y los afectados por el huracán Otis.
Resalta Víctor Mercado solidaridad de morelenses con damnificados por el huracán Otis
Luego de instalar un centro de acopio en apoyo a los damnificados por el huracán Otis que azotó el vecino estado de Guerrero, que se ubica en la Plaza 307 de la colonia Vista Hermosa, en Cuernavaca, Víctor Mercado Salgado resaltó la solidaridad de los morelenses que han llevado víveres y diferentes productos de higiene y de salud “con el propósito de aliviar y apoyar a nuestros hermanos guerrerenses”.
DIF Morelos hace un llamado para ayudar a los damnificados por el huracán Otis en Guerrero
El Sistema DIF (SEDIF) Morelos invita a la ciudadanía a sumarse a la campaña para recaudar artículos y alimentos a través de su centro de acopio, en solidaridad a las personas que han resultado afectadas por el huracán Otis, causante de grandes afectaciones en Guerrero.
Por su parte, la presidenta del organismo, Natália Rezende Moreira, pide a las y los morelenses que se unan para ayudar a las personas que necesitan atención prioritaria en el estado vecino.
ALERTA: Huracán Otis se convertirá en categoría 5 por la madrugada, golpeando la Costa Grande de Guerrero
En su cuenta de Twitter, el presidente Andrés Manuel López Obrador alertó a la población de Guerrero por el inminente impacto del huracán Otis, que sería de categoría 5.
En la red social, escribió:






