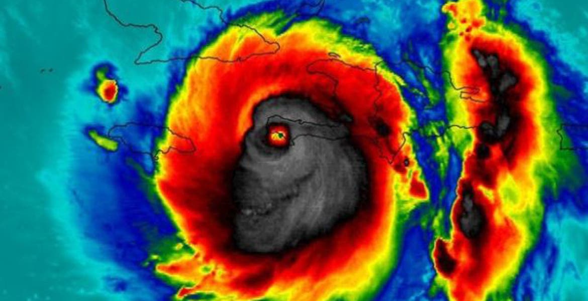
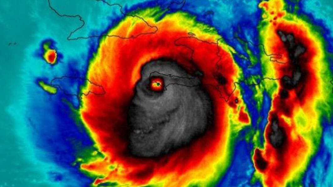
El huracán Matthew no sólo ha dejado pérdidas materiales y humanas a su paso por Haití, Cuba y Bahamas, sino también una postal terrorífica.
La NASA difundió la fotografía del meteoro durante su paso por Haití y que se asemeja a un cráneo al que muchos usuarios de redes sociales han calificado como escalofriante.
Algunos incluso compararon la imagen del fenómeno, el más poderoso en el Atlántico en una década, con Ghost Rider, un famoso personaje de cómics.
Los científicos predicen un fortalecimiento adicional de Matthew en las próximas 48 horas, por lo que se espera que se mantenga como huracán de categoría 3 o más fuerte mientras atraviesa Bahamas y se aproxima a la costa este de Florida.
Se ha extendido un aviso de huracán desde el norte de la ensenada de Sebastian hacia la línea entre los condados de Flagler y Volusia, en la costa noreste de Florida.
Permanecen activos los avisos de huracán para las provincias cubanas de Guantánamo, Santiago de Cuba, Holguín, Granma y Las Tunas, lo mismo que para el sureste, centro y noroeste de Bahamas, incluido Inaguas, Mayaguana, Aclins, Crooked Island, Long Cay y Ragged Island.
También se mantiene un aviso de huracán para el norte de Golden Beach hasta los condados de Flagler y Volusia, en la costa noreste de Florida, y el lago de Okechobee, al note del condado de Miami-Dade.
Hay un aviso de tormenta tropical para Haití y, en Florida, desde Chokoloskee hasta Golden Beach, y los cayos de este estado, desde el puente de las Siete Millas hacia el este hasta la bahía de Florida.
El huracán, que ya ha pasado por Haití y Cuba, está causando torrenciales aguaceros, fuertes vientos e inundaciones en las zonas donde tocó tierra, además de peligrosos deslizamientos.
El saldo preliminar del paso por Haití del huracán Matthew es de al menos nueve muertos y unos 14.000 desplazados, según los medios informativos locales.
(Con información de EFE)
