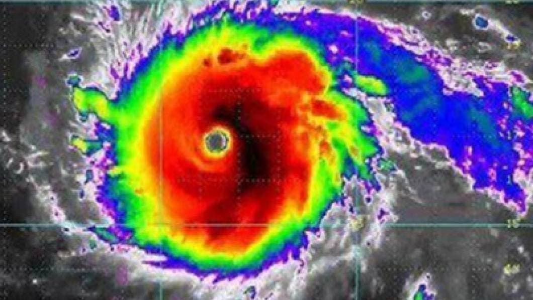
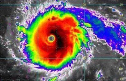
Antananarivo.- El paso del huracán Ava por la parte este de Madagascar, frente a la costa africana del Océano Índico, dejó 29 muertos, 22 desaparecidos, 17 mil 170 desplazados y más de 80 mil personas afectadas, según el balance oficial que reveló severos daños a la infraestructura del país.
Ava golpeó Madagascar el fin de semana con fuertes vientos e intensas lluvias, pero su impacto en el país –uno de los más pobres del mundo- ha ido emergiendo poco a poco, conforme los equipos de rescate alcanzan las zonas más afectadas, las cuales aún registran precipitaciones pluviales.
En un reporte provisional, la Oficina Nacional de Gestión de Riesgos y Desastres informó este martes que en total 83 mil 023 personas resultaron afectadas por las lluvias, que suscitaron inundaciones y deslizamientos de lodo, en el oriente malgache, donde 17 mil 170 fueron evacuadas para evitar riesgos.
Precisó que 22 personas continúan desaparecidas, mientras que de las 29 víctimas mortales, 17 murieron a causa de un deslizamiento en la localidad de Marfil, que se encuentra el sureste de la capital Antananarivo.
Muchos asentamientos se quedaron sin electricidad, la circulación de vehículos en al menos seis carreteras nacionales se interrumpió y 17 centros sanitarios fueron destruidos, según el reporte.
Mientras que tres mil 111 hectáreas de cultivos de arroz están bajo el agua, la producción de vainilla no se vio afectada, ya que según el presidente del Vanilla Exporter Group., Georges Geeraerts, Ava no tocó las áreas de explotación, por lo que Madagascar seguirá adelante como el principal productor de este fruto aromático, con casi la mitad de la producción mundial.
Al menos 151 establecimientos comerciales fueron destruidos por el ciclón y varios cientos de salones de clases resultaron con daños, por lo que alrededor de 16 mil estudiantes se vieron afectados por el cierre de escuelas hasta el próximo jueves.
El ciclón golpeó al país, con vientos de 190 kilómetros por hora, entre la noche del viernes y la tarde del domingo avanzando lentamente a 15 kilómetros por hora, por lo que causó estragos.
Madagascar se ve afectado por los ciclones de manera habitual y en los últimos 10 años este país insular ha sido golpeado por 40 fenómenos meteorológicos de este tipo.
En marzo del año pasado, el huracán Enawo causó la muerte de 78 personas en la isla y dañó alrededor del 30 por ciento de la cosecha de vainilla.
