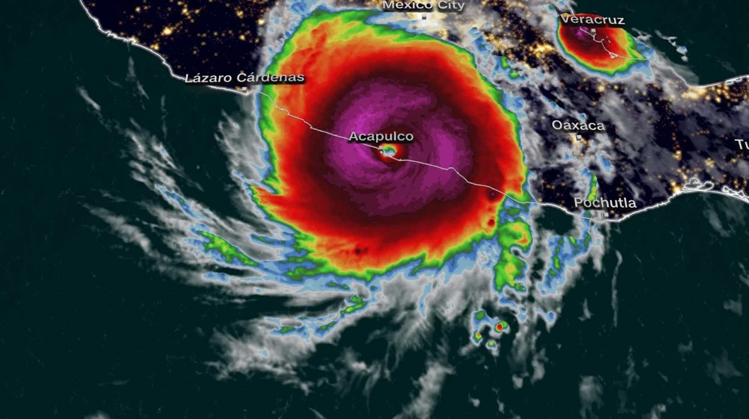
Durante la mañana de hoy, la amplia circulación de Otis, huracán categoría 1 en la escala Saffir-Simpson, originará lluvias extraordinarias (mayores a 250 milímetros [mm]) en Guerrero; intensas (de 75 a 150 mm) en Michoacán y el suroeste del Estado de México; fuertes (de 25 a 50 mm) en Morelos, el suroeste de Puebla y el occidente de Oaxaca; rachas de viento de 120 a 150 kilómetros por hora (km/h), oleaje de 3 a 5 metros de altura y marea de tormenta en costas de Guerrero, las cuales disminuirán gradualmente en el día.
Boletín #SIATCT no. 16 (09h)
desciende a #Huracán Categoría 1 #OtisEn tierra sobre Guerrero, a 20 km al sur-sureste de Ciudad Altamirano, Gro., y a 160 km al nor-noroeste de Acapulco, Gro.
Otis, en tierra sobre Gro; el sistema continúa debilitándose gradualmente. pic.twitter.com/7bJCzHxdm3
— Coordinación Nacional de Protección Civil (@CNPC_MX) October 25, 2023
A las 09:00 horas, tiempo del centro de México, Otis se localizó en tierra, aproximadamente a 20 kilómetros (km) al sur-sureste de Ciudad Altamirano y a 160 km al nor-noroeste de Acapulco, Guerrero, con vientos máximos sostenidos de 130 km/h, rachas de 155 km/h y desplazamiento hacia el nor-noroeste a 17 km/h.
Las precipitaciones que ocasione podrían ser con descargas eléctricas y generar deslaves, incremento en niveles de ríos y arroyos, desbordamientos e inundaciones en zonas de los estados mencionados, por lo que se exhorta a la población a atender los avisos del Servicio Meteorológico Nacional (SMN), de la Comisión Nacional del Agua (Conagua), y seguir las recomendaciones de Protección Civil. Asimismo, se hace un llamado a los turistas y la navegación marítima que se encuentran en la zona a extremar precauciones ante el oleaje elevado.
El SMN, en coordinación con el Centro Nacional de Huracanes, de Estados Unidos de América, estableció zona de prevención por efectos de tormenta tropical desde Punta Maldonado hasta Acapulco, Guerrero.
